この主訴はコワい
うさぎの骨はとても薄く、骨折しやすいが治癒しにくい
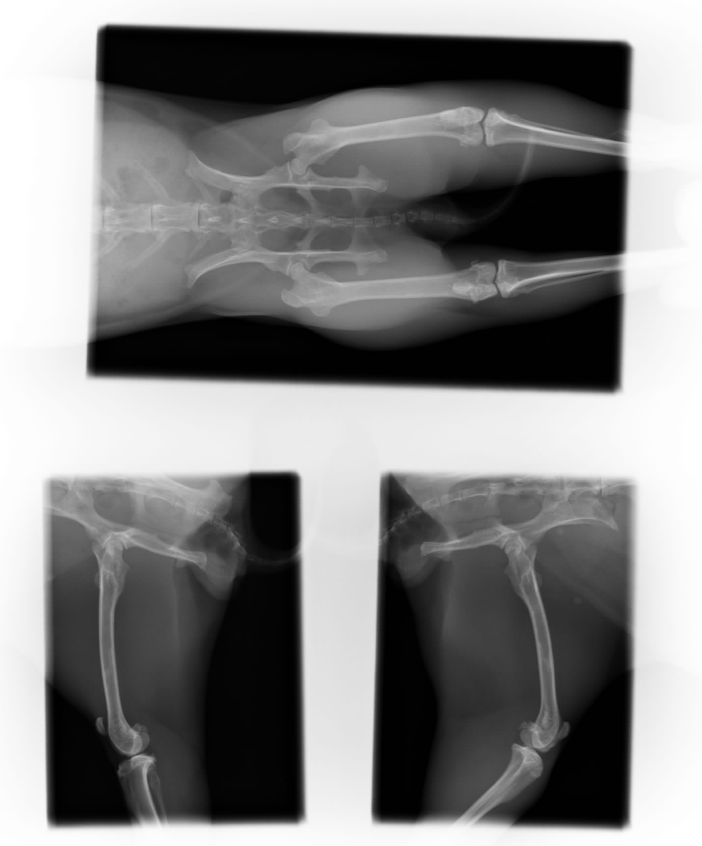
どこの骨が骨折かな?
骨盤や大腿骨は正常
ここの骨かっ
脛骨と腓骨の骨折
手術ではピン入れます
成功するとは限りません
さて、
どうして骨折したのか?
それは自分で暴れて
・・・自爆?
骨折の手術しても安静にしなければ治癒はさらに厳しい
でも手術終了
レントゲン検査では良さげな写真
とにかくケージレスト(狭いところで安静)1カ月
今後の経過がおそろしい
From Oq
2017年12月05日 (火)
この主訴はコワい
うさぎの骨はとても薄く、骨折しやすいが治癒しにくい
どこの骨が骨折かな?
骨盤や大腿骨は正常
ここの骨かっ
脛骨と腓骨の骨折
手術ではピン入れます
成功するとは限りません
さて、
どうして骨折したのか?
それは自分で暴れて
・・・自爆?
骨折の手術しても安静にしなければ治癒はさらに厳しい
でも手術終了
レントゲン検査では良さげな写真
とにかくケージレスト(狭いところで安静)1カ月
今後の経過がおそろしい
From Oq
2026年03月15日 (日)
2026年03月01日 (日)
2026年02月07日 (土)
2026年01月18日 (日)
2026年01月01日 (木)
2025年12月30日 (火)
2025年12月21日 (日)
2025年12月20日 (土)
2025年12月15日 (月)
2025年12月14日 (日)